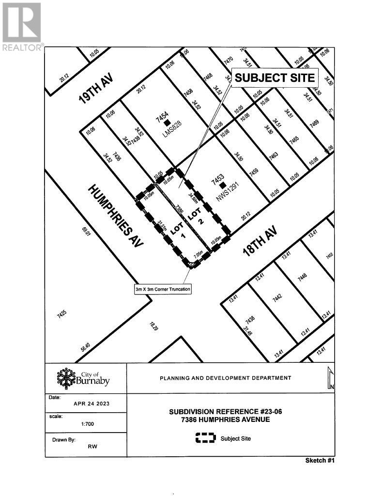
7386 Humphries Avenue Burnaby, British Columbia V3N 3E5
$2,650,000
Call Your Developers Today! The City of Burnaby has given tentative approval to subdivide this property, located at the corner of Humphries and 18th Ave, into two legal lots. As of July 1, 2024, new zoning regulations in British Columbia will support small-scale, multi-unit housing. This prime property is within two blocks of the Edmonds bus stops, potentially qualifying for increased density under the new transit-oriented development guidelines, allowing up to six units per lot. This strategic location offers convenient access to public transit, making it an excellent opportunity for higher-density residential development. Don´t miss out on this unique opportunity to capitalize on the upcoming zoning changes and maximize the potential of this valuable corner lot! (id:58359)
Property Details
| MLS® Number | R2894112 |
| Property Type | Vacant Land |
| Amenities Near By | Recreation, Shopping |
| Features | Central Location |
Building
Land
| Acreage | No |
| Land Amenities | Recreation, Shopping |
| Size Frontage | 66 Ft |
| Size Irregular | 7458 |
| Size Total | 7458 Sqft |
| Size Total Text | 7458 Sqft |
https://www.realtor.ca/real-estate/27033069/7386-humphries-avenue-burnaby
Contact Us
Contact us for more information








































